Filtri
Filtri
Scuole

Vendita: Cervia - lotto terreno edificabile in vendita; Cod.: 2951

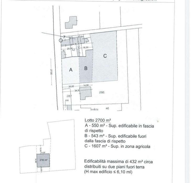
Cervia: rif. 2951 Vendesi lotto di terreno edificabile di circa 2700 mq posto nel comune di Cervia con una S.U.L. di 950 mq, in zona tranquilla e fornita di tutti servizi pubblici, su strada poco trafficata. Il lotto è inoltre fornito di doppio accesso direttamente dalla strada 90.000 EURO trattabili CLASSE ENERGETICA: Non Applicabile